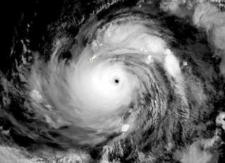
Siêu bão Mawar đã mạnh lên cấp 5, cấp cao nhất trên thang cảnh báo bão quốc tế, và tiến gần Philippines. Đây là cơn bão mạnh nhất được ghi nhận kể từ 2021.
Trung tâm Dự báo Khí tượng thủy văn quốc gia cho biết, siêu bão Mawar sẽ di chuyển theo hướng Tây Tây Bắc, hướng tới khu vực phía Bắc đảo Luzon (Philippines). Cơ quan Khí tượng thủy văn Việt Nam đang theo dõi sát diễn biến siêu bão Mawar.